Skip To Content

Lot 1-23 Road 1

Epworth, IA 52045
  • $515,000
  • STATUS: Active
  • ON SITE: 477 Days
  • MLS #: 2406623
UPDATED: 126 min ago
$515,000
  • 0
    BEDS
  • 9.46
    ACRES
  • 0
    BATHS
  • 0
    1/2 BATHS
Neighborhood:
Type:
Farm
County:

School Information

Elementary School:
Middle School:
High School:
School District:

Description

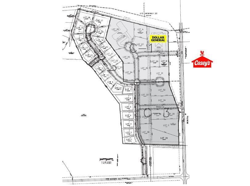
Prime development lots ranging from 0.299 to 9.455 acres in the vibrant Dubuque Metropolitan Area, specifically located in Epworth. These meticulously selected lots offer convenient access to Highway 20, Highway 151, and Dubuque, ensuring seamless transportation and enhanced visibility. Whether planning a dynamic residential community or a bustling commercial hub, this strategic location provides an ideal canvas for innovative projects. Notably, Dollar General has already secured Lot 28 within this new and upcoming development.

Monthly Payment Calculator

© 2026 Cedar Rapids Area Association of REALTORS® Multiple Listing Service, Inc. All rights reserved. IDX information is provided exclusively for consumers' personal, non-commercial use and may not be used for any purpose other than to identify prospective properties consumers may be interested in purchasing. Information is deemed reliable but is not guaranteed accurate by the MLS or Rosekrans Stines Team | RE/MAX Concepts. Data last updated: 2026-01-13T23:42:35.087.
www.realtybrotherscr.com/homes/155668400
Print Image

Lot 1-23 Road 1 Epworth, IA 52045

  • Price: $515,000
  • Status: Active
  • On Site: 477 Days
  • Updated: 126 min ago
  • MLS #: 2406623
0
Beds
0
Baths
0
½ Baths
9.46
Acres
Neighborhood:
OT-W (West Of I-380)
County:
Dubuque
Area:
OT-W (West Of I-380)
Elementary School:
Epworth
Middle School:
Drexler
High School:
Western Dubuque
School District:
Epworth
Property Description
Prime development lots ranging from 0.299 to 9.455 acres in the vibrant Dubuque Metropolitan Area, specifically located in Epworth. These meticulously selected lots offer convenient access to Highway 20, Highway 151, and Dubuque, ensuring seamless transportation and enhanced visibility. Whether planning a dynamic residential community or a bustling commercial hub, this strategic location provides an ideal canvas for innovative projects. Notably, Dollar General has already secured Lot 28 within this new and upcoming development.
Exterior Features

Lot Features Gentle Sloping

Property Features

Listing Terms Cash Conventional1031 Exchange Possession Negotiable Property Sub Type Residential Property Sub Type Additional Residential Unimproved Land Sewer Public Sewer Tax Annual Amount 58371 Utilities Electricity Available Natural Gas Available Water Source Public See Remarks Zoning Description C1&3 R2

Listing information © 2026 Cedar Rapids Area Association of REALTORS® Multiple Listing Service.
Listing provided courtesy of Craig Byers of Q4 Real Estate: 319-294-3339.
© 2026 Cedar Rapids Area Association of REALTORS® Multiple Listing Service, Inc. All rights reserved. IDX information is provided exclusively for consumers' personal, non-commercial use and may not be used for any purpose other than to identify prospective properties consumers may be interested in purchasing. Information is deemed reliable but is not guaranteed accurate by the MLS or Rosekrans Stines Team | RE/MAX Concepts. Data last updated: 2026-01-13T23:42:35.087.
 
https://bt-photos.global.ssl.fastly.net/cedarrapids/orig_boomver_1_2406623-2.jpg
Logo
Rosekrans Stines Team | RE/MAX Concepts
5235 Buffalo Ridge Dr
Cedar Rapids IA, 52411